

.
I have some question-and-answer threads over on the Facebook page. Link to those threads CLICK HERE
Or email me at beaudodsonweather@gmail.com
..

🌪️ Seven-Day Tornado Outlook ⛈️
October 27th through November 2nd
Current risk: None
Current confidence level: High confidence.
Comments:
.

Seven-Day Hazardous Weather Outlook
1. Is lightning in the forecast? UNLIKELY. I will monitor Tuesday and Wednesday.
2. Are organized/widespread severe thunderstorms in the forecast? NO. Cold air funnels are possible on Tuesday and Wednesday. These are typically harmless.
4. Will non-thunderstorm winds top 40 mph? NO.
5. Will temperatures rise above 90 degrees? NO.
6. Will the temperature fall below 32 degrees? UNLIKELY. I will monitor Friday night.
7. Is a killing frost in the forecast? POSSIBLE. Frost is possible on Friday and Saturday morning.
.
Here is the short-range concern meter.

.
Here is the extended concern meter. This takes us through next Sunday.
No severe weather or winter weather concerns.

.
A quick forecast glance. Your 48-hour forecast Graphics



.
Here is your bus stop forecast.

.
This afternoon

.


Forecast discussion
- A cool week ahead of us. Below-average temperatures.
- Rain chances today and tonight.
- Another widespread rain event arrives on Tuesday and Wednesday. A few showers may linger into early Thursday morning.
- Cool and dry for Halloween.
.
.
.
Seven-day outlook graphic.
See the video for more details for your specific county. This is a broad-brushed outlook for the entire region.

.
Good morning, everyone. I hope you had a nice weekend. A bit wet!
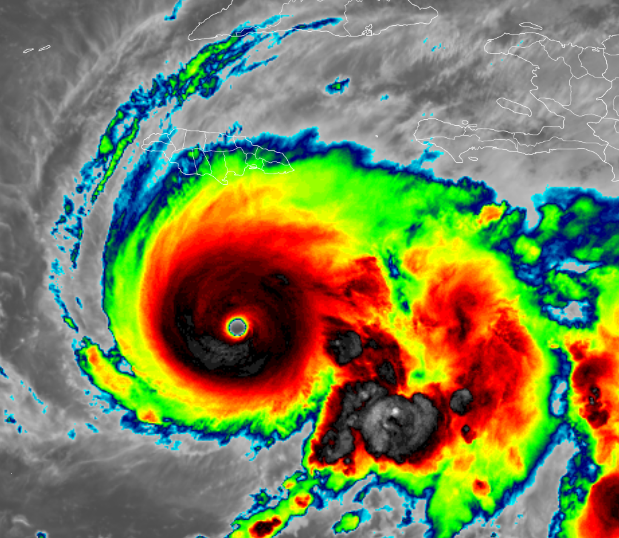
Hurricane Melissa
Jamaica is going to need our prayers. Melissa is now a Category Five hurricane. Winds are over 160 mph.
This will be the strongest hurricane to hit Jamaica in recorded history.
Monday morning satellite
6 AM Radar

.
Today and tomorrow.
This is what radar looked like at 5:45 AM
You can see the band of rain moving across our region. It is pivoting over us. There could also be drizzle outside of what you see on this animation.
See the live radar links at the bottom of the blog.

Today will be cloudy and cool. Patchy light rain and drizzle.
Tonight will deliver more clouds. Patchy fog and drizzle, as well. It will be cool today and tonight.
Our next storm system will push into the region on Tuesday afternoon and night. Widespread rain will push into the region by late Tuesday and Tuesdasy night. Locally moderate rain is likely.
No severe thunderstorm concerns, thankfully.
I can’t rule out some cold air funnels with the Tuesday/Wednesday system.
Cold air funnels typically are harmless. They rarely touch down. If they do touch down, then the damage is usually light. We don’t consider them a threat. Sort of a novelty.
They usually look like this.

Or this

.
It will remain cool on both Tuesday and Tuesday night. Below-average temperatures.
Let’s look at rainfall totals from today through 7 AM Wednesday morning.
Most of this will fall on Tuesday night into Wednesday morning.
Western view. Double-click the image to enlarge it.
Eastern view
.
Let’s look at the rain probability graphics.
Tuesday 7 AM to Tuesday 7 PM
Tuesday 7 PM to Wednesday 7 AM
..
Wednesday and Thursday
Widespread rain will continue into Wednesday. See the future-cast radars below.
Then, scattered showers on Wednesday night and Thursday. Tapering off as the system moves away on Thursday.
If you have outdoor plans late Tuesday, Tuesday night, Wednesday, and Wednesday night, then you will want to monitor the radars. Rain becomes increasingly likely.
Let’s look at rainfall totals from today through Thursday. This captures the entire rain event. Most of this will fall on Tuesday night and Wednesday.
Western view. Double-click the image to enlarge it.
.
Eastern view. Double-click the image to enlarge it.
.
Let’s look at the rain probabilities.
7 AM Wednesday to 7 PM Wednesday
.
7 PM Wednesday to 7 AM Thursday

.
7 AM Thursday to 7 PM Thursday
Halloween will be partly cloudy and dry. Highs will be in the 50s and 60s. Temperatures that evening will dip into the 40s/50s. Then, overnight lows will drop into the 30s/40s.
It will remain cooler than normal through Sunday.
Saturday and Sunday will likely be dry. Some models bring light rain back to the region on Sunday. For now, I placed a 10% chance of rain in the forecast. I will monitor trends.
No snow or ice in the forecast.
.

.
The timestamp (upper left) is in Zulu. 12z=7 am. 18z=1 pm. 00z=7 pm.
Double-click the animation to enlarge it.
NAM model
The timestamp (upper left) is in Zulu. 12z=7 am. 18z=1 pm. 00z=7 pm.
Double-click the animation to enlarge it.
GFS model
..
.
Click here if you would like to return to the top of the page.
.Average high temperatures for this time of the year are around 68 degrees.
Average low temperatures for this time of the year are around 45 degrees.
Average precipitation during this time period ranges from 1.00″ to 1.25″
Six to Ten Day Outlook.
Blue is below average. Red is above average. The no color zone represents equal chances.
Average highs for this time of the year are in the lower 60s. Average lows for this time of the year are in the lower 40s.

Green is above average precipitation. Yellow and brown favors below average precipitation. Average precipitation for this time of the year is around one inch per week.

.

Average low temperatures for this time of the year are around 43 degrees.
Average precipitation during this time period ranges from 1.00″ to 1.25″
.
Eight to Fourteen Day Outlook.
Blue is below average. Red is above average. The no color zone represents equal chances.

Green is above average precipitation. Yellow and brown favors below average precipitation. Average precipitation for this time of the year is around one inch per week.

.
.
.
We have a new service to complement your www.weathertalk.com subscription. This does NOTreplace www.weathertalk.com It is simply another tool for you to receive severe weather information.
.
https://weathercallservices.com/beau-dodson-weather
Want to receive the daily forecast/other products on your Beau Dodson Weather app?
Did you know you have four options in your www.weathertalk.com account
You will then receive these via your Beau Dodson Weather app.
Just log into your www.weathertalk.com account
Click the NOTIFICATION SETTINGS TAB
Then, turn them on (green) and off (red)
🌪️ Number 1 is the most important one. Severe alerts, tornado alerts, and so on.
Number 2 is the daily video, blog, livestream alerts, and severe weather Facebook threads on severe days or winter storm days.
Number 3 is the daily forecast. I send that out every day during the afternoon hours. It is the seven-day forecast, hazardous weather outlook, fire outlook, and more.
Number 4 is to receive the daily video, blog, and other content on NON-severe weather days (every day without severe threats in other words)
GREEN IS ON
RED IS OFF

I am going to start going live during bigger severe weather events.
Check it out here https://www.youtube.com/user/beaudodson
Click the subscribe button (it’s a free subscription button), and it will alert you when I go live. I will also send out alerts to the app when I go live for an event.

.

Radars and Lightning Data
Interactive-city-view radars. Clickable watches and warnings.
https://wtalk.co/B3XHASFZ
Old legacy radar site (some of you like it better)
https://weatherobservatory.com/weather-radar.htm
If the radar is not updating then try another one. If a radar does not appear to be refreshing then hit Ctrl F5. You may also try restarting your browser.
Backup radar site in case the above one is not working.
https://weathertalk.com/morani
Regional Radar
https://imagery.weathertalk.com/prx/RadarLoop.mp4
** NEW ** Zoom radar with chaser tracking abilities!
ZoomRadar
If the radar is not working, then email me: Email me at beaudodson@usawx.com
.
We do have some sponsors! Check them out.
Roof damage from recent storms? Link – Click here
INTEGRITY ROOFING AND EXTERIORS!
⛈️ Roof or gutter damage from recent storms? Today’s weather is sponsored by Integrity Roofing. Check out their website at this link https://www.ourintegritymatters.com/
![]()
![]()
![]()
Make sure you have three to five ways of receiving your severe weather information.
Weather Talk is one of those ways! Now, I have another product for you and your family.
.
Want to add more products to your Beau Dodson Weather App?
Receive daily videos, weather blog updates on normal weather days and severe weather and winter storm days, your county by county weather forecast, and more!
Here is how to do add those additional products to your app notification settings!
Here is a video on how to update your Beau Dodson Weather payment.
The app is for subscribers. Subscribe at www.weathertalk.com/welcome then go to your app store and search for WeatherTalk
Subscribers, PLEASE USE THE APP. ATT and Verizon are not reliable during severe weather. They are delaying text messages.
The app is under WeatherTalk in the app store.
Apple users click here
Android users click here
.

Radars and Lightning Data
Interactive-city-view radars. Clickable watches and warnings.
https://wtalk.co/B3XHASFZ
Old legacy radar site (some of you like it better)
https://weatherobservatory.com/weather-radar.htm
If the radar is not updating then try another one. If a radar does not appear to be refreshing then hit Ctrl F5. You may also try restarting your browser.
Backup radar site in case the above one is not working.
https://weathertalk.com/morani
Regional Radar
https://imagery.weathertalk.com/prx/RadarLoop.mp4
** NEW ** Zoom radar with chaser tracking abilities!
ZoomRadar
Lightning Data (zoom in and out of your local area)
https://wtalk.co/WJ3SN5UZ
Not working? Email me at beaudodson@usawx.com
National map of weather watches and warnings. Click here.
Storm Prediction Center. Click here.
Weather Prediction Center. Click here.
.

Live lightning data: Click here.
Real time lightning data (another one) https://map.blitzortung.org/#5.02/37.95/-86.99
Our new Zoom radar with storm chases
.
.

Interactive GOES R satellite. Track clouds. Click here.
GOES 16 slider tool. Click here.
College of DuPage satellites. Click here
.

Here are the latest local river stage forecast numbers Click Here.
Here are the latest lake stage forecast numbers for Kentucky Lake and Lake Barkley Click Here.
.
.
Find Beau on Facebook! Click the banner.





















.